Terreno
Lambari - Encantado/RSTerreno
Lambari - Encantado/RSRef.: 3547 fotos

Mais fotos


venda
R$180.000,00Terreno Frente
12,50 mSituação
Pronto para construirDescrição do imóvel
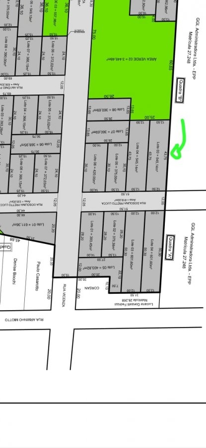
354 - Jardim Da Fonte– Amplo Terreno com 545,14m², medindo 12,50x43,75 metros, situado na Rua Dosolina Pretto, Loteamento Buffon,, Bairro Lambari, nº 03 da Quadra \'B\', Lugar alto, próximo ao Parque, ótima vista inclusiveparao Cristo., com toda infra estrutura.
As informações estão sujeitas a alterações. Consulte o corretor responsável.
Localização
Jardim Da Fonte - Lambari - Encantado/RS - 95960-000Ficha do imóvel
PerfilResidencial
SituaçãoPronto para construir
Terreno Frente12,50m
Terreno Esquerda43,75m

Spessato ImoveisCRECI - 42657
(51) 9974-08953Copiado!
Olá! Estamos disponíveis para te ajudar.
